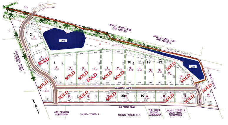
King's Mill
Save
All
Create
Share
Plat Maps
3 of 3
Previous Album
Next Album
×
Login to Your Hoodle Account
Remember me
Forgot your password
×
Create Your Hoodle Account
Sign up with Facebook
or
By clicking sign-up you indicate that you have read and agreed to the Terms of Service and Privacy Policy.